日本酸素は、 サンゴを守る活動を応援しています。

Contributing to the environment

日本酸素にっぽん さん そは、 サンゴをまも活動かつどう応援おうえんしています。

 
 

サンゴ 役割やくわり

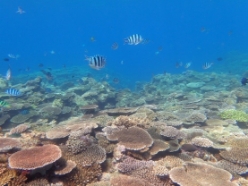
うみいろとりどりの「サンゴ」もそのなかのひとつ。
サンゴは二酸化炭素にさんかたんそ吸収きゅうしゅうし、酸素さんそすことでものみやすいうみつくっています。

研究 漁業 酸素 光合成 サンゴ 防災 観光 海の生態系 二酸化炭素
 
 
 

サンゴ 現状げんじょう

近年きんねん地球温暖化ちきゅうおんだんか影響えいきょうで、サンゴの白化はっか白色しろいろ変化へんかする)がすすみ、これまでにない規模きぼとスピードで消滅しょうめつしています。
地球温暖化ちきゅうおんだんかにより海水かいすい温度おんど上昇じょうしょうしています。

健康なサンゴと白化したサンゴの比較、地球温暖化による環境の変化
 
 
 

みんなでサンゴ まもろう

サンゴは、うみものみかとなっている大切たいせつ生物せいぶつです。
日本酸素にっぽんさんそは、将来しょうらいけて綺麗きれいうみまもるため、サンゴをまも活動かつどう支援しえんしています。

み ①

「チームちゅらサンゴ」にメンバー企業きぎょうとして参画さんかく

2025ねん2がつ当社とうしゃ沖縄県恩納村おきなわけんおんなそんうつくしいサンゴのうみまもるための「チームちゅらサンゴ」に参画さんかくしました。この団体だんたいは、沖縄おきなわのサンゴをまも活動かつどうおこなっています。この活動かつどうには、参加企業さんかきぎょう社員しゃいん参加さんかすることができ、サンゴのなえづくりや海中かいちゅうでの作業さぎょう、サンゴの観察かんさつなどを体験たいけんできます。こうした体験たいけんとおして、海洋かいようにおける生物多様性せいぶつたようせいまもるうえでのサンゴの役割やくわりや、サンゴをまも大切たいせつさをまなべます。
当社とうしゃではサンゴやそこにもの未来みらいについてかんがえるいきっかけになればと、社員しゃいん実際じっさい沖縄おきなわって、サンゴを自分じぶんでみたり、サンゴの作業さぎょう体験たいけんする機会きかい提供ていきょうしています。2025ねんからスタートしたこのみは初年度しょねんど20にんえる社員しゃいんとその家族かぞく体験たいけんしています。今後こんご継続けいぞくしてサンゴの保全活動ほぜんかつどう社員参加しゃいんさんかうながしていきます。

『チームちゅらサンゴ』とは?

2004ねんに、沖縄県内外おきなわけんないがい会社かいしゃあつまって「チームちゅらサンゴ」が結成けっせいされました。活動かつどう目的もくてきは「沖縄おきなわのきれいなうみ、"ちゅうみ"を大切たいせつにするこころ」を、もっとおおくのひとひろげることです。本団体ほんだんたいは、サンゴをまもるために、サンゴのなえうみえるなど、サンゴの育成活動いくせいかつどううみについてってもらうイベントをおこなっています。これまでにやく19,500ぽんのサンゴのなえうみえました。

み ②

沖縄科学技術大学院大学おきなわかがくぎじゅつだいがくいんだいがく(OIST)のサンゴプロジェクトへの参画さんかく

2024ねん7がつ当社とうしゃ親会社おやがいしゃにあたる日本酸素にっぽんさんそホールディングスは、沖縄おきなわ世界せかいのサンゴ保全ほぜんんでいる沖縄科学技術大学院大学おきなわかがくぎじゅつだいがくいんだいがく(OIST)「OISTサンゴプロジェクト」のかんがえに賛成さんせいし、スペシャルパートナーになりました。OISTは最新さいしん方法ほうほうでサンゴを調査ちょうさしながらまも活動かつどうをしています。こうした研究けんきゅうとおじて、沖縄おきなわだけでなく世界中せかいじゅうのサンゴをまも活動かつどうささえています。

詳細しょうさいはこちらから: OISTサンゴプロジェクト

OISTサンゴプロジェクトとは?

OISTは、うみみずなかにあるもの遺伝子いでんし調しらべたり、遺伝子いでんしなかにある設計図せっけいずこまかく調しらべるために必要ひつよう特別とくべつ方法ほうほう使つかって、サンゴやうみものまも活動かつどうをしています。